Our Family Genealogy Pages

Home Page  |  What's New  |  Photos  |  Histories  |  Headstones  |  Reports  |  Surnames
Search
First Name:


Last Name:



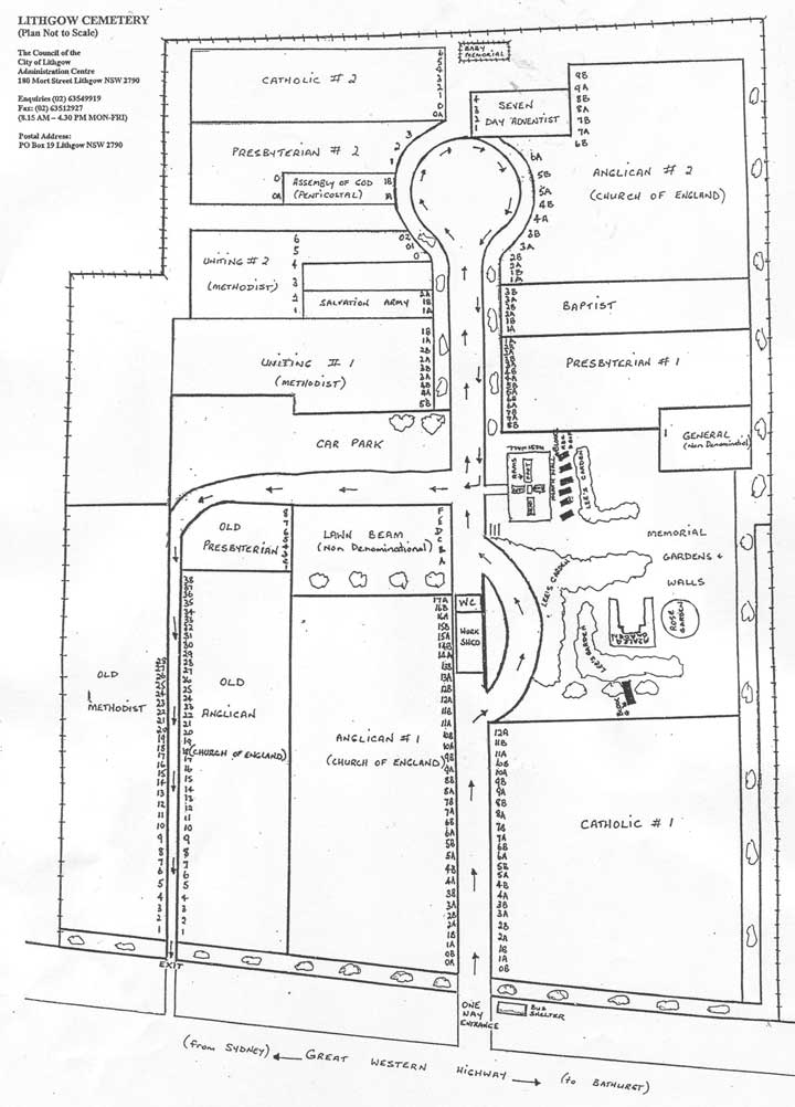
 Lithgow Cemetery, Lithgow, Lithgow, New South Wales, Australia


Lithgow Cemetery


Headstones

 Thumb Description Status Location Name (Died/Buried)
Headstone for James Bushby and Martha [Aitken] Bushby
Headstone for James Bushby and Martha [Aitken] Bushby
Martha Bushby died 16 Oct 1922, Age 83 years, "Peace, perfect place."
John Bushby died at Lochinvar, 3 Nov 1883, age 61 years. 
Located  Row 7A, Lot 32  Martha Aitken (d. 16 Oct 1922)
James Bushby (d. 03 Nov 1893)